Help Support Kashka's Hip Surgery & Recovery
Kashka is a sweet, one-year-old pup who was pulled from the Durham APS into Independent Animal Rescue’s foster program in November 2025. We knew that Kashka was a very special dog from the day she entered IAR - she’s goofy, affectionate, and instantly endears herself to everyone she meets.
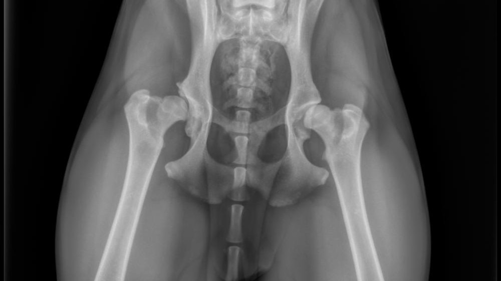
In December her foster noticed Kashka limping after playing and brought her to the vet, where she was diagnosed with severe hip dysplasia. In the months since her diagnosis, the pain on her left side has increased and has significantly limited her ability to do the activities she loves the most: running, playing, and simply enjoying life the way a young dog should. While we are currently managing her discomfort with medication, her hip joint needs surgical repair and physical therapy to allow her to regain a normal quality of life.
Between time in and out of the shelter, in short-lived homes, and now enduring the grinding pain in her left hip, Kashka has already been through so much hardship in her short life. The good news is that IAR is committed to covering the costs of her treatment and recovery, and that a date (March 4) has been set for her surgery. This GoFundMe was created by volunteers who love Kashka as a way to offset the significant expenses associated with her care and support the organization that is making her healing possible. Every donation gets Kashka one step closer to a pain-free life and helps support IAR’s ongoing work caring for animals with complex medical needs.
Organizer
Independent Animal Rescue
Beneficiary






