- e
- M
- l
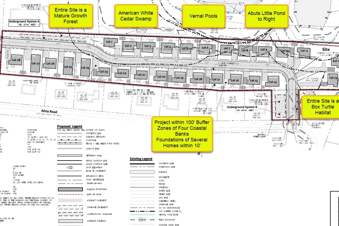
My name is Sandy Stosz. My brother, Mark Stowes, and I live next to the site of a proposed high-density Chapter 40B project known as "Little Pond Village" by Helmis Circle, LLC. This proposed project would be built on Little Pond in the quaint Cape Cod neighborhood of Falmouth Heights. The five-acre site is currently covered by a mature forest and is home to many native plant and animal species, including box turtles Goldie (cover photo) and Amber (below). The proposed project would bulldoze this mature forest, along with Goldie and Amber and all living things. We are appealing the Town of Falmouth's decision to issue a comprehensive permit for this project.
Box Turtle Amber:
The proposed high-density project site is located in a sensitive wetland zone and would shoe-horn 28 homes on lots between 3,500 to 6,000 square feet on average into a four-acre buildable area currently zoned for seven lots of 40,000 square feet (abutters lots average 10,000 square feet).
Existing forest:
The 28 homes and paved roadways would result in 50-60% impervious surfaces and include no open space.
Proposed Development:
The site abuts Little Pond to the East, a severely distressed body of water. It also abuts conservation land to the North that includes wetlands with protected Atlantic white cedar swamps and vernal pools.
The approximately five-acre site, much of which falls inside the Little Pond Coastal Bank Buffer Zone, is fully forested with mature hardwood trees like the large white oak in the picture below. Imagine what will happen to the environment if this forest is clearcut! Runoff and erosion will destabilize the precious coastal banks that surround the project site and runoff will further pollute Little Pond.
Heritage White Oak:
The site is home to many native species, including a population of Eastern Box Turtles. We know of at least four box turtles who reside on this property, notably Amber and Goldie!
Satellite View:
Little Pond:
The Falmouth Enterprise published a great article on October 12th, 2018 that provides more information:
https://www.capenews.net/falmouth/news/lawsuit-keeps-development-in-falmouth-on-hold/article_54258456-bcd2-530f-a806-60f845cf2d39.html
On June 13th, 2019 the Falmouth Enterprise ran this update: https://www.capenews.net/falmouth/news/a-long-road-ahead-for-plaintiffs-in-chapter-b-lawsuit/article_5dfbc807-9441-5d5f-b8e0-126ed4c18674.html
We are appealing the Town of Falmouth's decision to approve the proposed project because we are passionate aboutpreserving the environment and we know that this high-density development will adversely impact abutters and the entire neighborhood.
At this time, we stand alone in the appeal of this project, but we know that many members of the community have alsospoken out against it and will benefit if we are successful. We're asking for your help with our mounting legal and expert consulting fees. We have hired a lawyer and an environmental consultant and your donations will go toward thoseexpenses as we proceed with the appeals process. Any funds that may be left over will be donated to land preservation in Falmouth, MA.
Thank you in advance for looking at our page and for your interest in preserving our scarce natural resources.
If you'd like to help save Goldie and Amber, please contribute to our fundraising goal! THANK YOU
Update as of January 9th, 2021:
In January, 2020, we settled with Helmis Circle, LLC. This avoided a costly court process, while providing concessions mitigating some of the adverse impacts of the development. Although we were unsuccessful in reducing density, the provisions of the settlement included a Revised Scope of Work that moved the houses closest to Little Pond, #12 and #13, to the west (away from Little Pond) by about 30 feet. The limit of work was moved by a roughly equal amount, placing the homes and yards, which had previously been sited inside the environmentally sensitive 50-foot Coastal Bank Buffer Zone, outside of that zone. For context, that means the homes will be approximately 210 feet away from Little Pond. This will result in saving many of the mature trees in the Coastal Bank Buffer Zone, and will otherwise protect and preserve the coastal bank habitat.
The settlement also includes a private conservation restriction on lots #11, #12 and #13, which include the land all the way down to the waterline at Little Pond. The private conservation restriction will be included in the deed for those threehomes, and requires that the land subject to the conservation restriction (beyond the yards), be preserved in its naturalstate.
During the ZBA review process, we argued that the developer should be required to provide a box turtle protection plan. InSep/Oct 2020, a silt fence was installed around the property, and LEC Environmental Consultants swept the area for box turtles. We believe three were found and relocated to safety outside the proposed construction zone.
We received over $6,500 in donations, and are very thankful to those who supported our appeal. We have thus farexpended over $22,000 on legal and environmental consulting fees. We're satisfied that we did our part, with your help, to try to preserve the environment and its inhabitants to the best of our ability given the circumstances.
The project goes before the Zoning Board of Appeals on January 21st for decision on revisions to the home designs (this change is unrelated to our appeal). If approved, Helmis Circle will be cleared to move to the next steps in the development process.
Again, many thanks to those of you who supported our efforts to "Save Amber and Goldie"! In the end, we were able tosave a few box turtles, many trees, and preserve environmentally sensitive habitat. Thank you.

