
Gas Station and Convenience Store Appeal
Update on 8-24-2023: The appeal has been filed with the county. With administrative fees, the total cost to file was $914.60. The next step will be a hearing with the Board of Supervisors, but that date is not yet set. Keep watching https://protecttempleton.org for updates.
Update on 8-21-2023: We have raised the necessary funds. Thank you to all who donated!
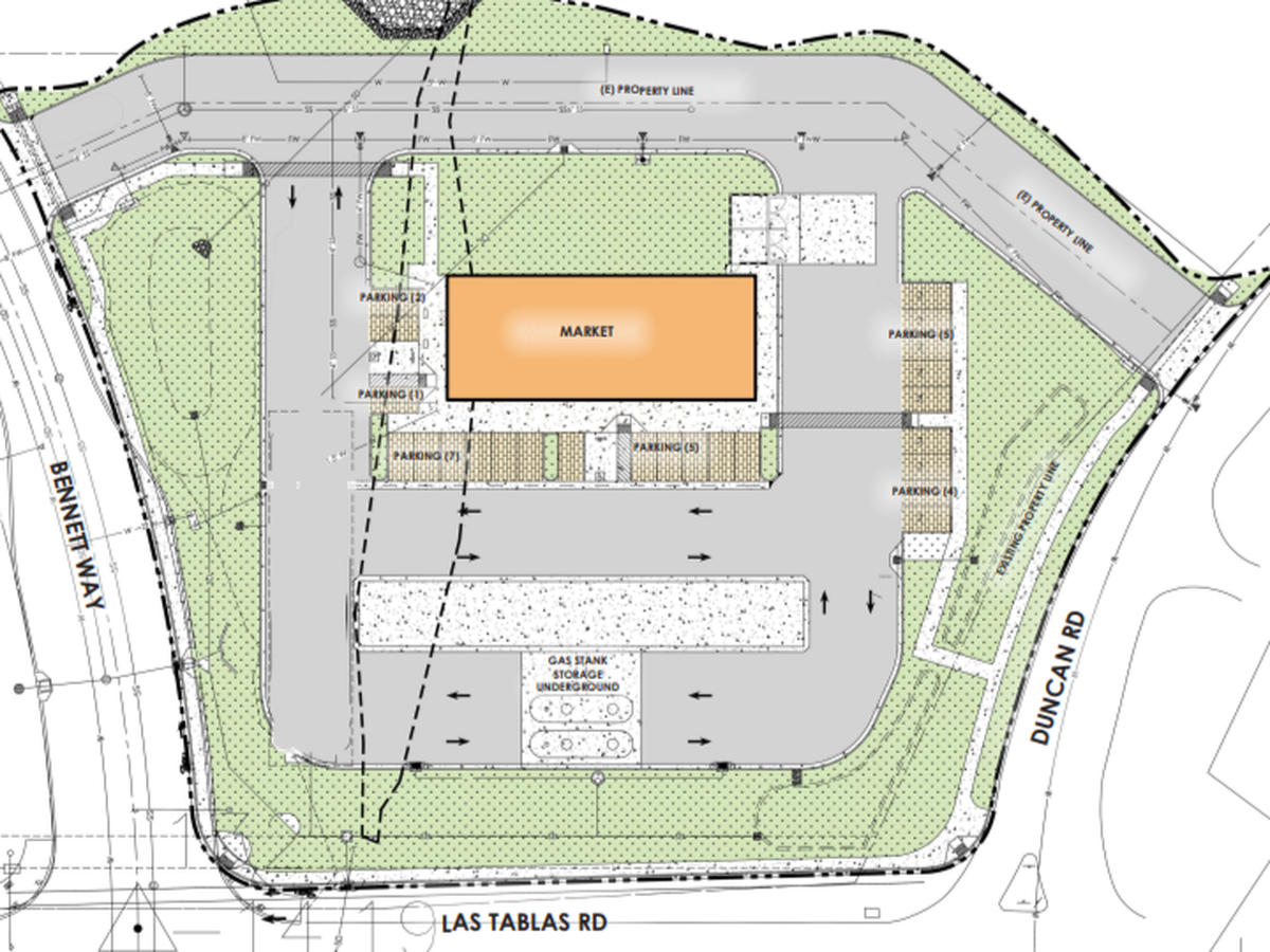
A developer has proposed building a 24-hour gas station and convenience store on a vacant 2.3-acre parcel less than 500 feet from both the Peterson Ranch and Peoples Self Help residential developments. The project is called "East Bennett Village", and the County Planning Land Use Permit project number is DRC2021-00102.
The SLO County Planning Commission approved this project on August 10, 2023, by a vote of 2-1 (with 2 Commissioners absent). The decision can be appealed to the Board of Supervisors by filing an appeal, which has a $850 fee. The deadline for the appeal is August 24.
This GoFundMe is raising the $850 needed to file the appeal.
The Templeton Community Design Plan section V.F.3 limits the hours of operation of all retail businesses in Templeton from 5:00 AM to 11:00 PM for any business within 500 feet of residences. This developer is attempting to override that design plan by operating the site 24 hours per day.
This project is also requesting 802 sq ft of signage, over 3 times the normally allowed 237 sq ft for this sized parcel.
More information about the project can be found at https://protecttempleton.org
Organizer
Joseph Jarboe
Organizer
Templeton, CA