- d
- W
- C
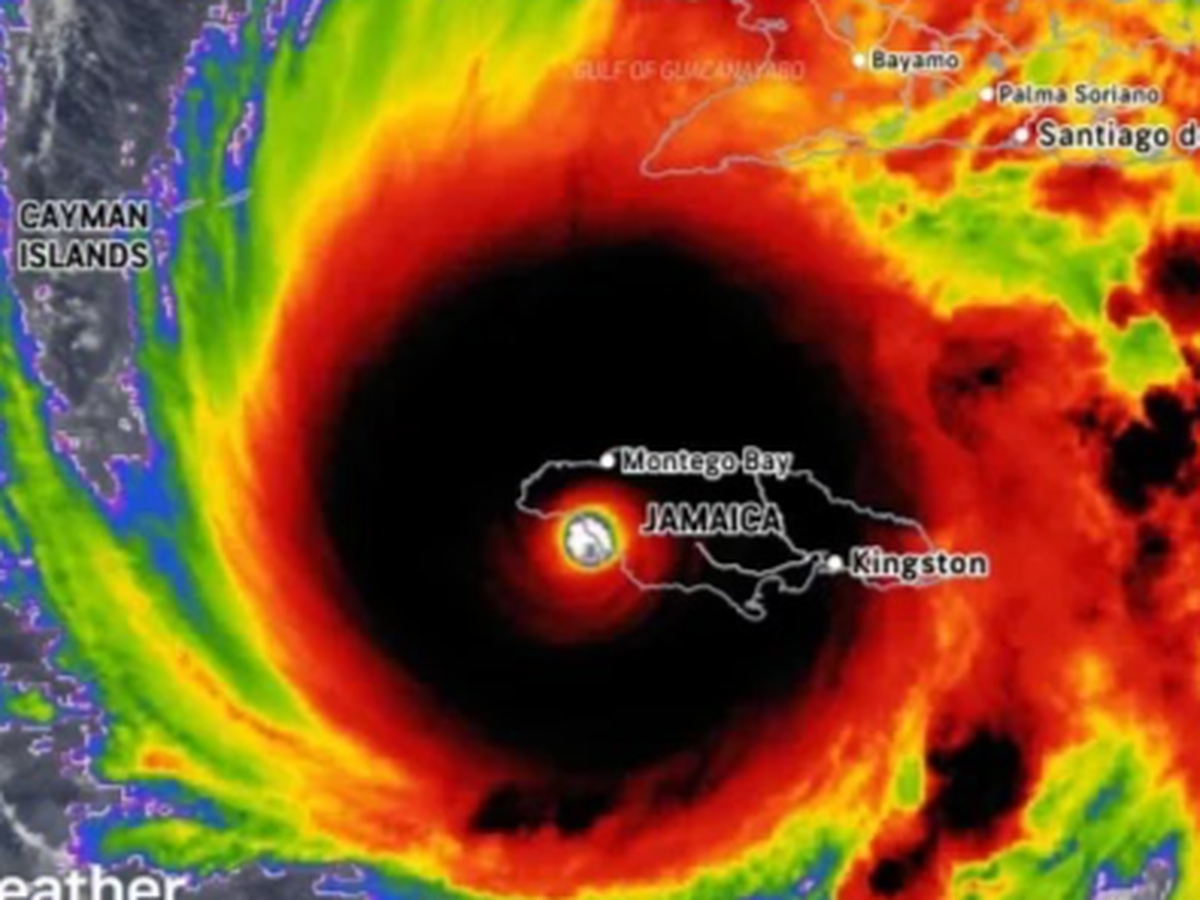
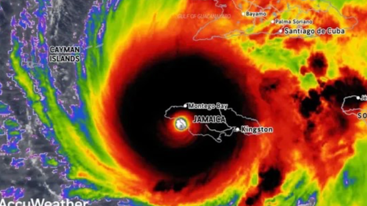
Help Patrick Support His Community After Hurricane Melissa
Over the past week, many of us have been talking about how we can help our good friend Patrick's family and community in Hopewell, Hanover, Jamaica after Hurricane Melissa devastated their hometown. Their region is not expected to have power until at least November 20th, and there is no timeline for running water. Patrick is working tirelessly to help his neighbors by providing solar charging stations, lamps, power saws, and generators. We’re hoping to raise $5,000 to support his efforts and bring some relief to families in need. Please consider donating — every bit helps this community recover and rebuild after this devastating storm.
The Desmond family would like to partner with members of the Daniel Island community to get money and/or supplies to Patrick in short order so we can help support their rebuild. Patrick has done so much to support us each and every day at the club, we feel it's the least we can do when his family is in need.
Thanks in advance for your generosity, and don't hesitate to reach out to me directly if you have any questions or concerns at [email redacted].
Matt & Kelly Desmond




