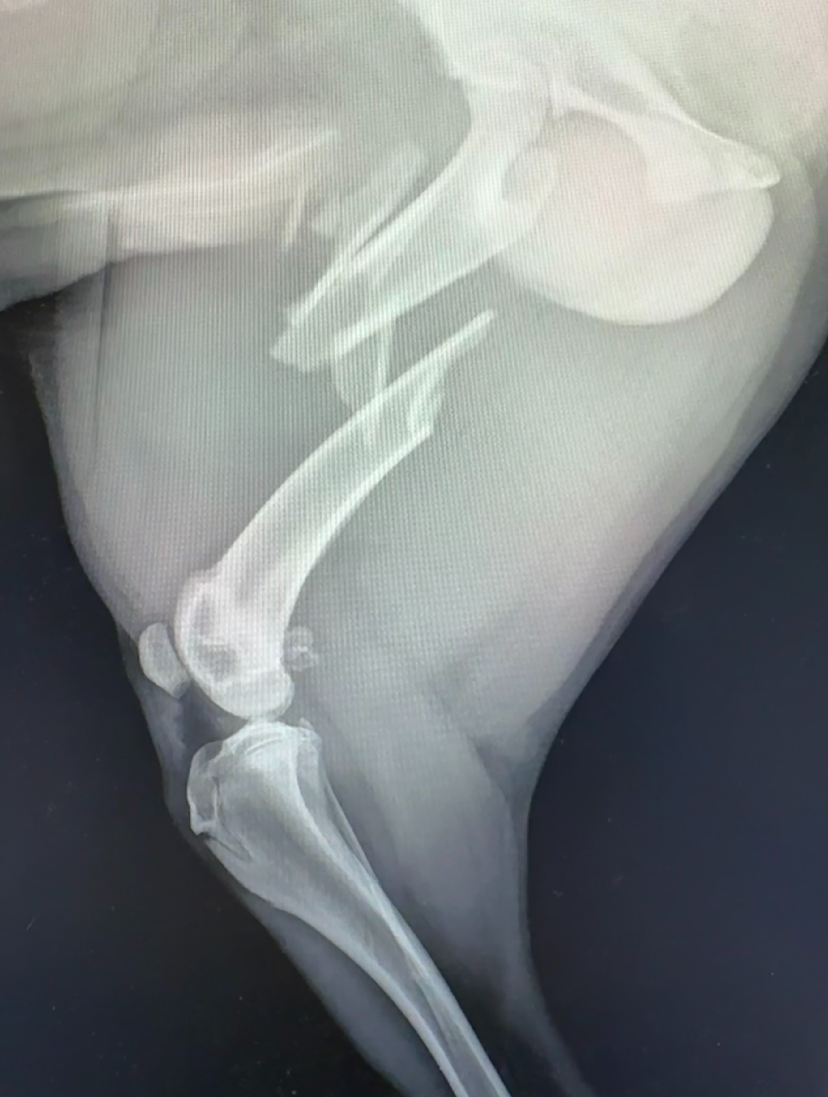
Meet Bishop! Bishop is only 8 months old and was tragically hit by a car. His owner could not afford veterinary care and elected to euthanize him to prevent suffering. As his veterinarian, my heart was broken to see such a young life ended over something that can be fixed. His owner thankfully surrendered him to my care so we could save his life. However, he is requiring extensive orthopedic surgery and hospitalization, so I am looking for financial support to cover his medical expenses! Bishop and I greatly appreciate any help we can get! Let's get him running like a puppy again!


