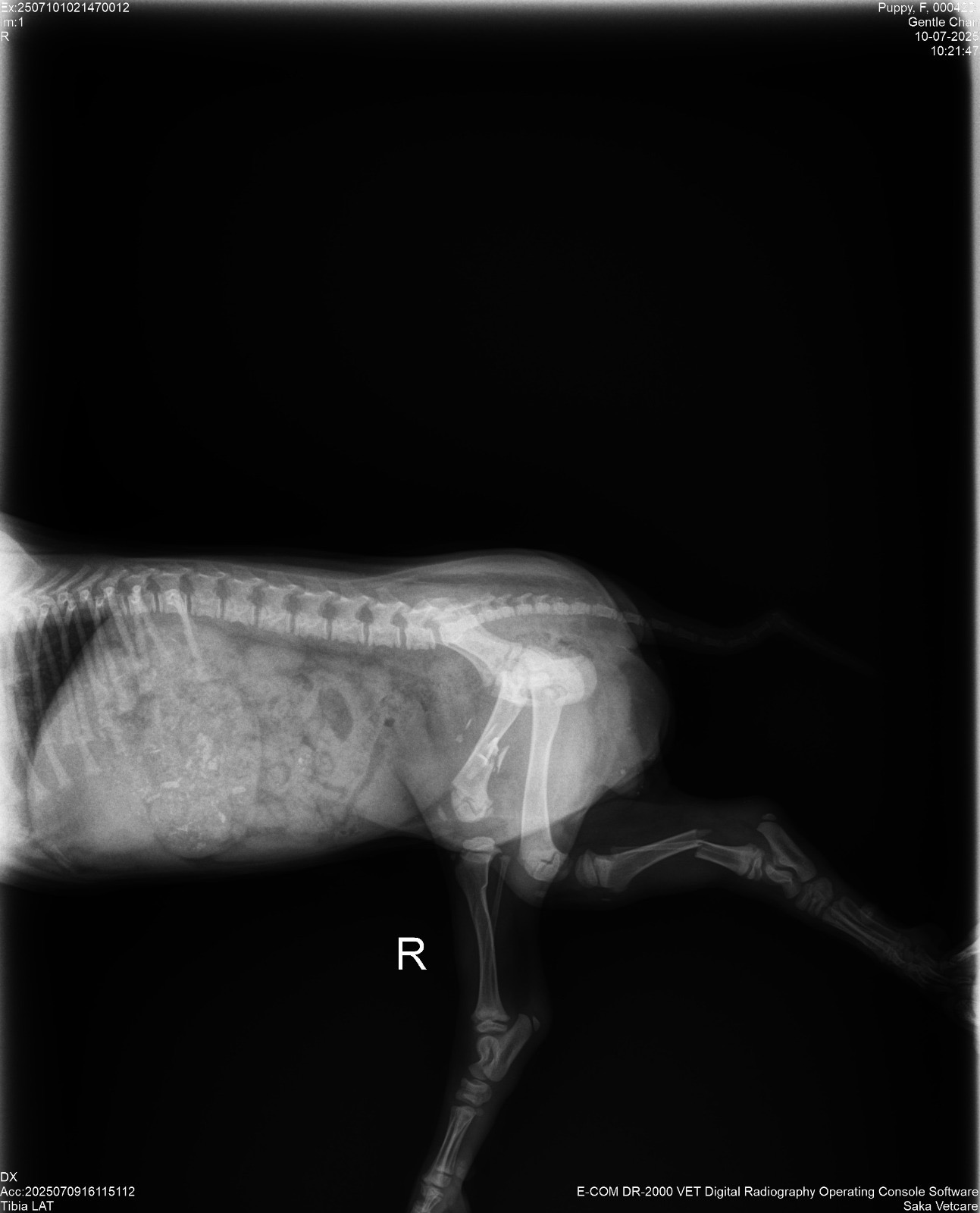
Kinta is a 6-week old purebred Kintamani puppy indigenous to Bali. I found her in poor shape outside of a hostel and brought her to a sanctuary that referred us to a clinic. After a consultation, some x-rays, casts, and medicine, we found that she had 3 breaks along her hind legs. With surgery, she has very good chances at making a full recovery. Without, she will likely be permanently disabled in both back legs.
Consultation, x-rays, medicine, first month of resources such as food, pee-pads, diapers, etc I’ve already paid for. No proceeds will go to me. The money will be used to pay largely for the surgery ($600) and the rest will go toward resources for a local I’ve found who will nurse her back to health post-operation.
Edit (7/12): Thank you for following Kinta’s story and for all donations ❤️. Our new surgery goal is $670 — $555 will go toward the surgery, $111 will go toward blood tests and 3 days of post-op hospitalization. Our original estimate did not include hospitalization and tests.
The clinic Kinta will go to has lowered their initial price given the situation and has been vetted by 3 different sanctuaries, one confirming this price point is very generous given the number of breaks (typically 17m/$1000 for this many breaks in an adult dog). We’re hoping to raise an additional $250-300 on top of surgery costs to provide Kinta’s new FOREVER family resources to raise her not just for the 2 months recovery period post-op but for the rest of her life ❤️. With a loving family and wonderful doctors, Kinta will be able to run and play (alongside her 7 new brothers and sisters!).






