A few months ago, the Cat Distribution System introduced me to this super extroverted cuddle bug I named Anubis. Appropriately named because his outgoing nature is more befitting of a dog than a cat. He was starving, but showed me affection and asked for belly rubs like we knew each other for years. Over time, I gradually took over caring for him and gaining his trust. I fed him regularly, and even cleaned his wounds after some stray cats hurt him badly.
On November 5th, Nubie stopped showing up. Of course, this was the very week I decided we had enough trust and planned to take him to a vet. I put up flyers, posted on social media, but nothing changed.
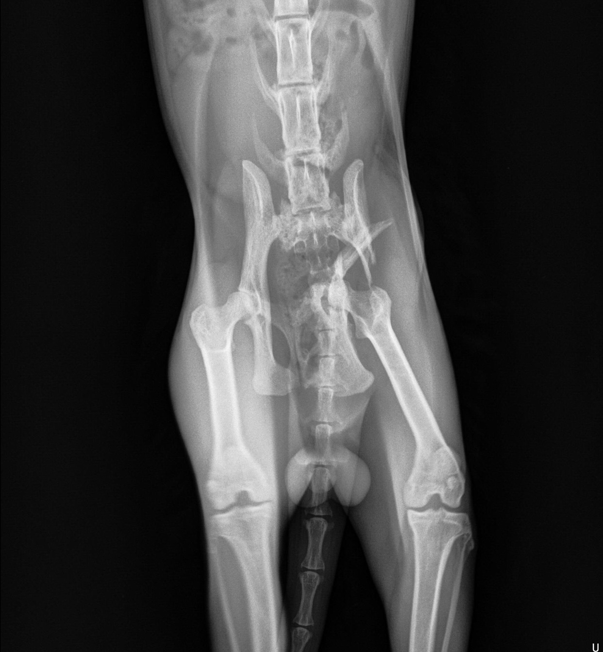
Anubis came back to me out of the blue, with a limp. As I write this, it’s been 30 minutes since he came back. It’s been 30 minutes of me bawling my eyes out, feeding him all the cat food and Churus his little heart desires, and trying my best to get a good look at his leg.
He can’t put any weight on his left hind leg, and even at the pelvis his leg looks misaligned. I’m already anticipating he will need at the very least an X-ray and a cast, maybe a surgery and medicine. I need help raising funds in anticipation of what I’m sure will be a high vet bill.
I make it a personal duty to help anyone who comes my way to the best of my abilities. In Nubie’s case, it will take more than just me to help him heal. Any amount you can spare and/or sharing of this fundraiser, it means the world to me. He’s the kindest little thing, a warm and curious soul. I just can’t let the world beat the light out of his yellow-orange eyes.






