- K
- M
- K
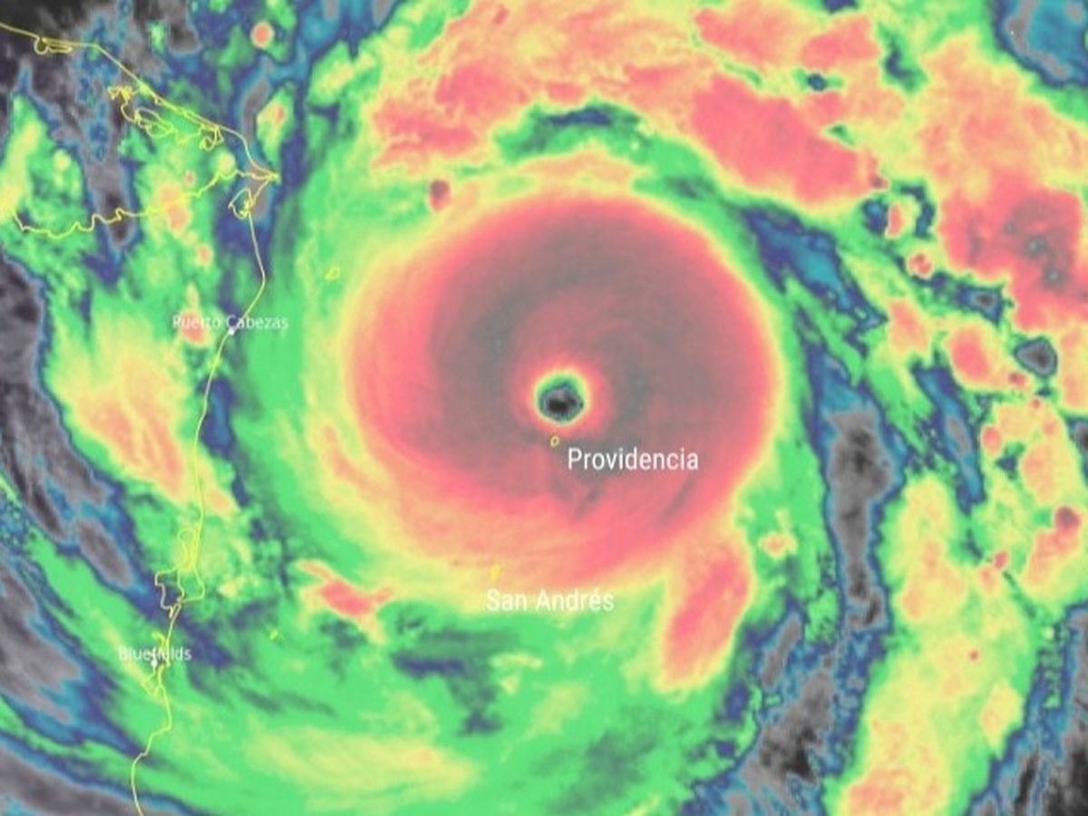
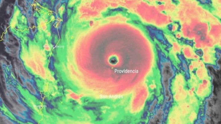
On November 16, San Andres and Providencia islands were devastated by Hurricane Iota, the first time a Category 5 storm ever reached the shores of these Colombian islands. My parents and brother's family are thankfully safe from a storm that packed 160mph winds. Their homes can be repaired. However, Providencia was directly hit and practically all homes and structures were completely demolished or damaged. My grandmother's home was ripped down to the floor, and other members of my extended family are left with nothing.Needless to say, I am saddened to see the extensive wreckage in the aftermath of this unprecedented natural disaster. These beautiful islands where I grew up are a paradise that few people have seen before. Please help me raise funds to start the long and arduous rebuilding process.
These funds will be used to purchase building materials for the people of Providencia where home insurance is not widely used. Other immediate supplies such as medication, clothing, food and essentials will also be purchased to deliver to islanders in need.
Thank you immensely for your generosity to help my family and fellow islanders! Harry

