- M

Hi, our names are Rafael and Rebecca. We are trying to raise funds to relieve some of the financial burden we took on in order to get veterinary treatment for a very sweet stray cat whose arm was broken by a pellet gun.
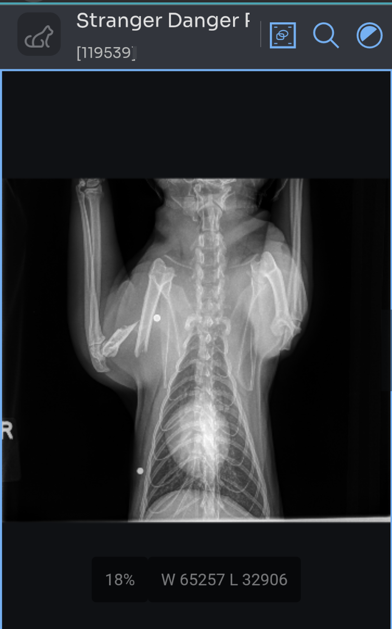
Over the past year, we have had the pleasure of coming to know a young, friendly stray tomcat that is well-known in our neighborhood (we call him Stranger Danger). On November 23rd, Stranger Danger showed up in our back yard crying with a limp front right leg. We took him to the emergency vet where they visually diagnosed a likely fracture. The opinion was that it would need to be amputated.
They prescribed painkillers so that we could bring him to our primary care vet the next day to diagnose with X-Rays. The X-Rays revealed that Stranger had been shot twice with a pellet gun. One of the pellets completely broke his humerus (upper arm bone). The extremely professional and helpful veterinarians at Desert Sky Animal Hospital indicated to us that amputation was an option, but strongly encouraged us to consult with an Orthopedic specialist.
After consulting with one Orthopedic specialist that quoted beyond our ability to pay (8,000 to 12,000 dollars), we found that Southwest Surgical Center in Peoria would perform a fracture repair for a much more reasonable cost. A cruel human being crippled this helpless cat, it felt wrong to take his leg. We agreed to take on the debt of 6,100 dollars to repair his leg and save it, and are committed to helping him recover in a safe, confined place in our house for the next 8-12 months (and then we will take him on, get his vaccinations and take responsibility for him going forward as a domesticated indoor cat).
While we felt like this was the right moral thing to do, and we will do whatever we must to dig ourselves out of it, the financial debt has put us in a precarious place. Any funds raised will go towards the debt for the surgical repair only. It will not go towards the ER consult, the medications, either orthopedic consult, the primary care consult nor the x-rays or diagnostic costs.
Please only give if you are able, and only give what you can. Many people might not agree with our decision to save a stray cat's leg, and I understand that and do not expect anyone to donate who does not agree with the choice we made.
Any help is appreciated.
Thank you,
Rafael and Rebecca






