Hello! We adopted sweet Mylo on August 20. He’d been neutered that same day, so we thought his low energy and goofy gait were just part of recovery and puppy growth. But after two weeks, he stopped sitting, then started limping, and soon was struggling to stand up and lie down.
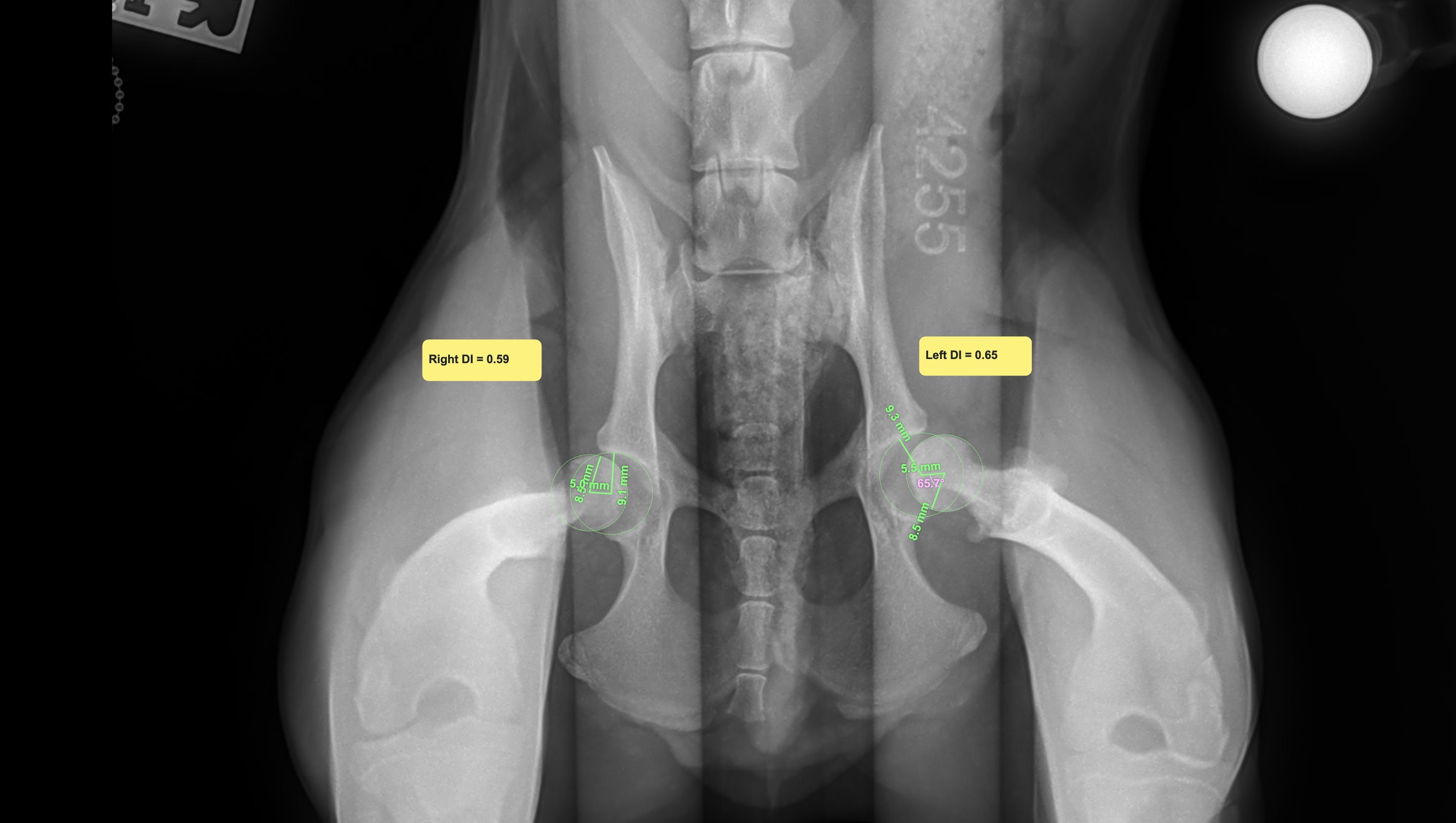
Mylo has since been diagnosed with severe hip dysplasia in both hips and a fracture. He is only 6–8 months old and will need a total hip replacement (THR). The surgery will cost $15,000. Because this all happened so soon after adoption, insurance won’t cover it (most plans have a 30-day waiting period for preexisting conditions).
Mylo is currently on pain meds, but without surgery he’ll be under pain management and have limited mobility for the rest of his life.
We are committed to moving forward with the surgery, but it is a big and unexpected expense for us. Some friends encouraged us to start this page so anyone who’d like to help can be part of Mylo’s recovery. Any bit helps, and we’re so grateful for the love and support!

