- R
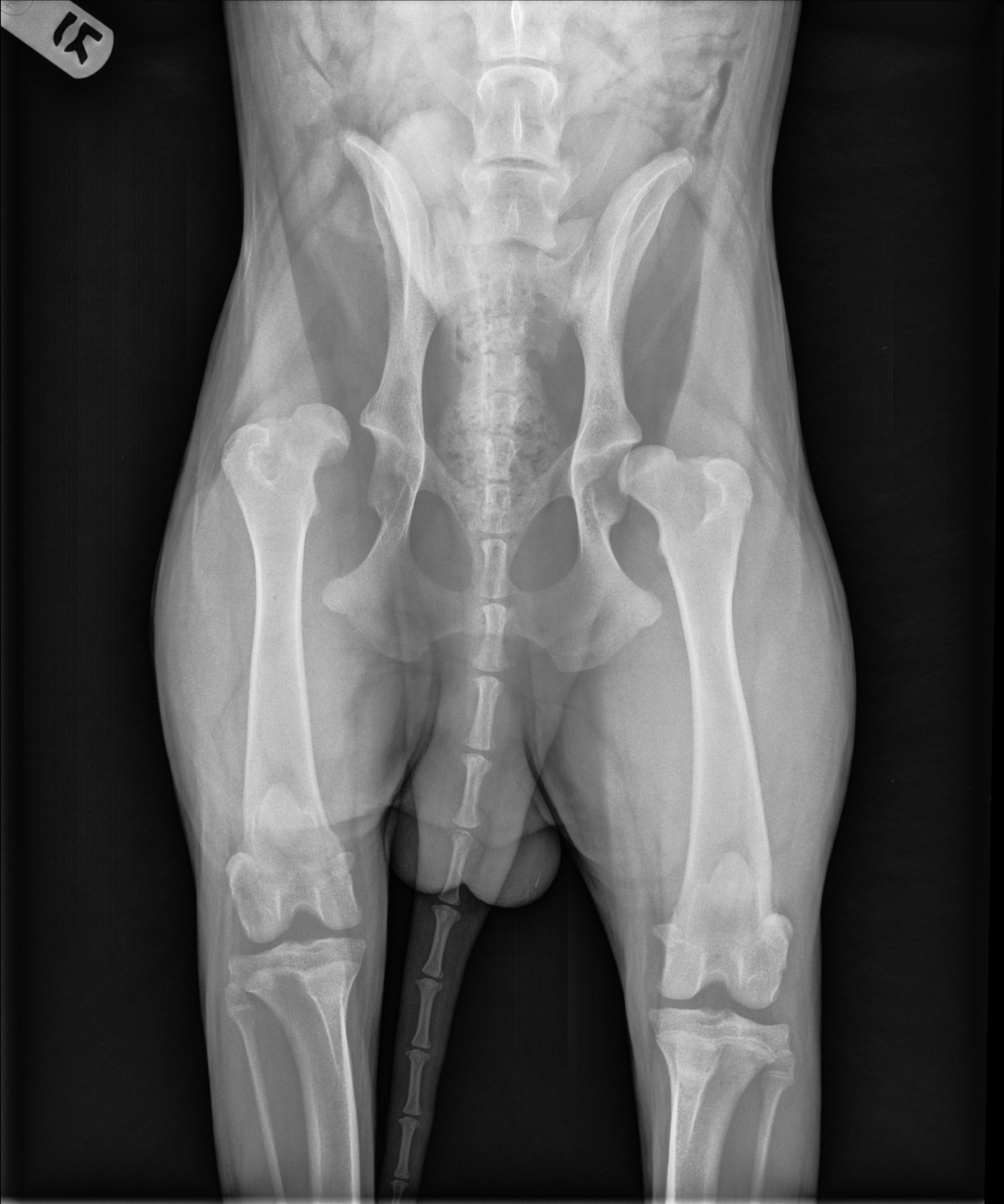
Hello everyone! This is my first time ever making a gofundme and it’s for my special boy Kuma. He had to have an FHO surgery back in November 2024 due to, what I assume, was from his sister going down the stairs too fast behind him and might have ran into him. Took him in when I noticed the slight limp and they saw that his femur was dislocated from the hip and I believe they told me that it might’ve been fractured as well. Luckily I was able to use CareCredit to pay for the surgery to be done within a few days, I didn’t want him to walk on that any longer. He has healed up really well, he has a bit of an irregular gait but that’s alright as long as he isn’t in pain.
I have been making monthly payments since then, but recently my job has not been offering many shifts for me which has definitely been stressing me out. I have been selling a lot of my stuff to help fund these payments as well as my other bills/expenses(cards,phone,pet food). I have been applying for other jobs since the current one is almost like not having a job, I have had a couple interviews but have resulted in a pass or no response. Even if the full cost isn’t fundraised, any donations, or even just spreading it on your socials, will be greatly appreciated while I am looking for a more stable and reliable job. Thank you for reading! :)






