- V
- R
- K
Liebe Freunde, Familie und alle Tierliebhaber,
wir wenden uns heute an euch mit einem wirklich sehr großen Anliegen. Vor vier Monaten haben wir Loki aus dem Tierheim adoptiert, kurz vor Weihnachten um ihm nach dem schmerzenhaften Verlust unserer Hündin, ein liebevolles Zuhause, einen warmen Schlafplatz, immer einen vollen Napf, Spiel und Spaß fürs Leben zu ermöglichen, doch dann ging es Loki nach einer Zeit immer schlechter, und dann kam die schreckliche Diagnose. Er hat eine so liebevolle Seele und bringt so viel Freude in unser Leben. Unsere kleine Tochter liebt ihn über alles, und es bricht uns das Herz, dass er nun mit so schweren gesundheitlichen Problemen zu kämpfen hat, die mit sehr starken Schmerzen einhergehen.
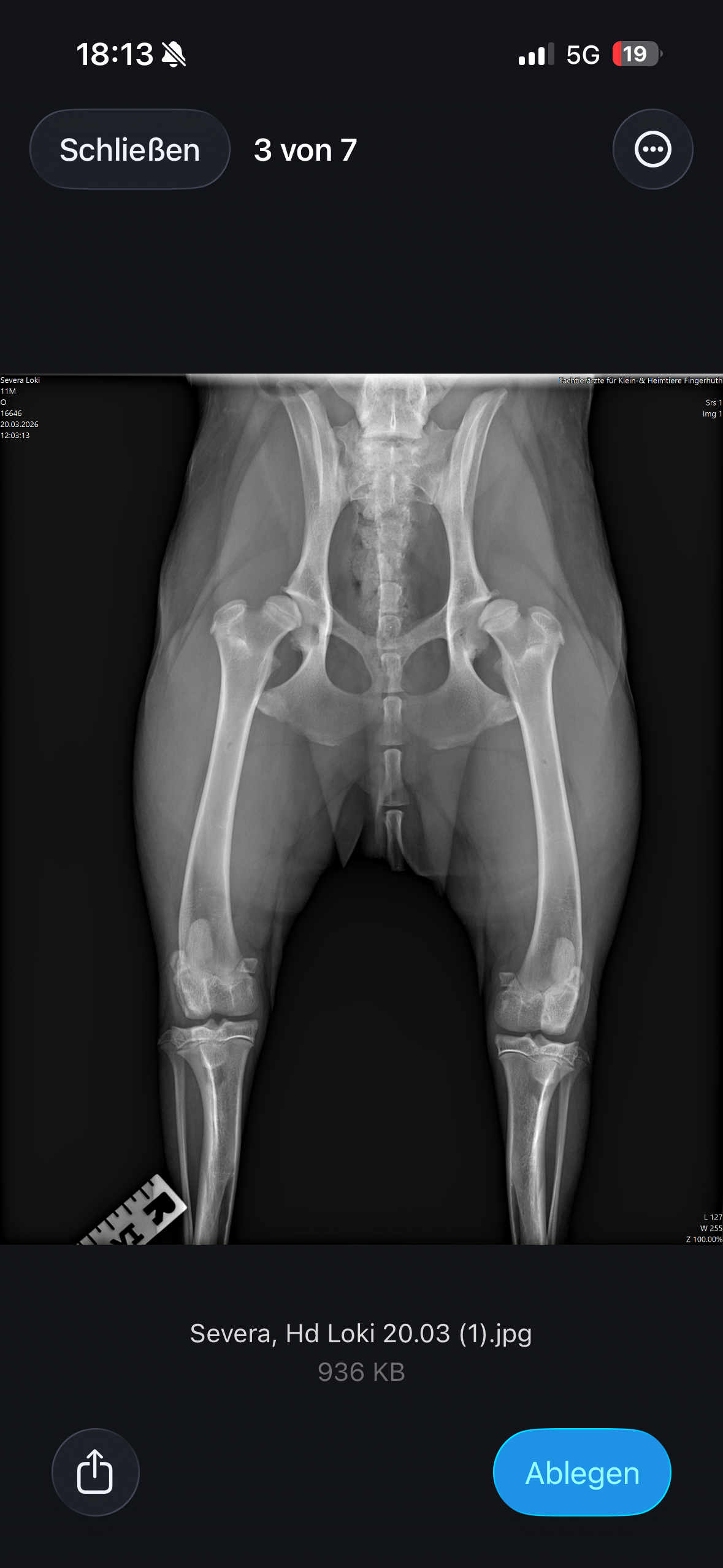
Loki leidet an Ellenbogendysplasie und Hüftdysplasie, jeweils auf beiden Seiten, was mehrere große und schwere Operationen erfordert, um ihm ein „so gut es geht“ schmerzfreies Leben zu ermöglichen. Die Gesamtkosten für die erforderlichen Behandlungen belaufen sich auf etwa 20.000 €, zu denen zusätzlich Behandlungskosten von mindestens 10.000 € für Physiotherapie, Medikamentengabe und weitere Maßnahmen kommen.
Zu allen Kosten die dazu gehören:
Röntgen, CT, Blutuntersuchung,mind. 3 große OP’s, Künstliche Hüftgelenke beidseits, Schmerzmittel, Physio, Wasserlaufband
Wir möchten Loki auf keinen Fall ins Tierheim zurückgeben; das wäre für uns keine Option. Stattdessen wollen wir alles tun, um ihm zu helfen und ihm ein weitestgehend schmerzfreies Leben zu ermöglichen. Ein Leben ohne Loki können wir uns einfach nicht vorstellen.
Deshalb bitten wir euch um eure Unterstützung. Jeder Euro zählt und bringt uns dem Ziel näher, Loki die dringend benötigte medizinische Versorgung zukommen zu lassen. Eure Hilfe bedeutet uns und vor allem Loki die Welt.
Wir danken euch von Herzen für jede Unterstützung, sei es finanziell oder durch das Teilen dieser Nachricht!
Mia, Selina und Niklas





