Main fundraiser photo

Help Zimba Overcome His Painful Condition

Donation protected
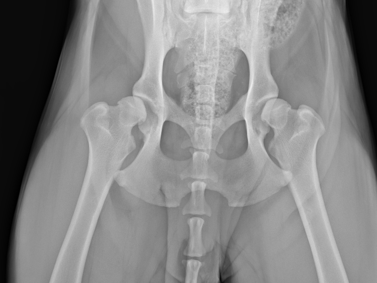
In November 2021, we rescued our dog Zimba, a Dogo Argentino, from a neglectful household that only kept him in a cage. At that time, he was 11 months old. As he spent more time with us, we noticed some unusual changes in his way of walking. His back legs would slip under him more and more often, and it would take less and less time for him to catch a break while going on walks. When we took him to the vet, he was diagnosed with severe hip dysplasia and arthritis in his hind knees.

We're very troubled to see how he struggles to get around with such a painful condition. He is a very noble dog who would do anything to protect his family. He has some unusual yet funny behaviors and gestures that always lighten up our days. We love him dearly and want to see him in a healthy state once more. We can't imagine the possibility in which we would have to put Zimba down.

Right now, he's being treated with injections and supplements to slow down the progression and to reduce some pain. To recover his full mobility, the vets recommend immediate surgery to fully replace his hip and knee joints. These procedures are too expensive for us at the moment. We humbly ask anyone to please donate any amount to help us cover the expenses of his treatment.

The surgery has an estimated price of up to $3800, and extra funds will be needed to cover post-operation procedures.

Organizer

Iris Guzman
Organizer
Hialeah, FL
  • Animals
  • Donation protected

Your easy, powerful, and trusted home for help

  • Easy

    Donate quickly and easily

  • Powerful

    Send help right to the people and causes you care about

  • Trusted

    Your donation is protected by the GoFundMe Giving Guarantee