- s
This is Ziggy- My little hard luck story. My sister found him trying to scrounge for food, just about to take a beating from her porch cat. He's not feral at all, in fact everything about him suggests he had lived all his life indoors before someone abandoned him. He hadn't been on the streets long enough to get mangy or malnourished, but he had already picked up some scars. I hadn't intended to take in another cat, but the only appointment we could get to have him neutered was at the vet close to my house, so I picked him up after his operation. He was only supposed to stay with me for a couple of days, but that was all it took. He was so happy to be living indoors again, when I would pick him up, he wouldn't let go. He would follow me all over the house and constantly want to rub against my legs. I realized I had just adopted another cat. Then I noticed his limp.
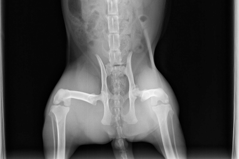
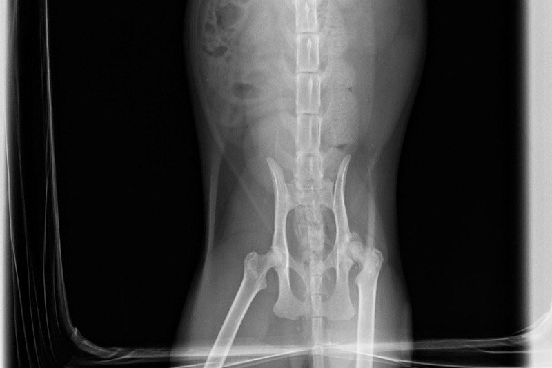
When I took him back to the vet for his booster shots, I asked them to X-Ray his hip to see if it was an injury or a congenital condition. They gave me the bad news that it was a defect in his hip which was going to keep getting worse until it could be corrected with surgery. I could afford a couple of hundred dollars here and there for normal vet expenses, but I'm a gig worker, and COVID took all my gigs away. There was no way I was going to be able to come up with a few thousand any time soon. Now, several months have gone by, and Ziggy no longer follows me around the house. The poor little guy can barely walk anymore, and although I have finally started getting work again in the last few weeks, I am nowhere near on an even keel yet, and Ziggy can't wait any longer.
I took him for a pre-surgical consultation in March, and at that time the estimate for his surgery was between $3500 and $4500. Since that was three months ago, and his condition has deteriorated, I will probably need to take him for another one, and the price may go up, but that is the figure I am working with for now. My hope is that I can find 250 people who will chip in $20 apiece to allow Ziggy to have a pain-free life. Since that's the only thing I want to get out of this, I will pledge that if I exceed my goal, or if there is money left over, I will donate the balance to an animal rescue agency (I'm doing some research before I name one- There will be an update once I've picked a good one out)
Below are Ziggy's X-Rays- The first set was taken when I first got him in October. The others were taken three months later. I don't really know how to read them, but the vet said they could see noticeable deterioration in that short time:




