Dumped Outside With a Fractured Pelvis: Help Thora Recover

  • J
  • S
16 donors
0% complete

$735 raised of 

Dumped Outside With a Fractured Pelvis: Help Thora Recover

Tax deductible
Dumped Outside With a Fractured Pelvis. Help Thora Recover and Get the Chance at Life She Deserves.

My name is Emily, I’m 17 years old, and I rescue guinea pigs. I’m fundraising for a newly rescued guinea pig named Thora who arrived in poor condition and now needs long-term medical care.

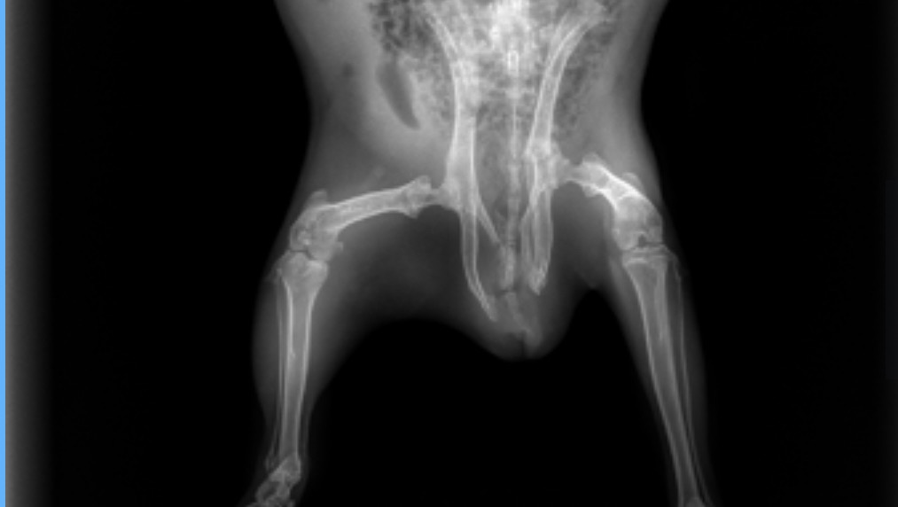
Thora’s story is heartbreaking. She was brought to me after someone admitted that they had intentionally dumped her outside. I called animal control and when the officer picked her up, she was underweight, struggling to walk, and clearly in pain. I brought her to an emergency vet right away, and x-rays showed that her pelvis is fractured in multiple places.

Even with these serious injuries, Thora has shown a strong will to live. She’s eating well, has a big appetite, and can use the bathroom normally. She will need cage rest for several weeks, followed by physical therapy and supportive treatments like laser therapy and acupuncture.

So far, her emergency care has already cost over $1,000. This includes sedation, radiographs, IV fluids, pain medications, and the emergency exam. She will continue to need ongoing veterinary visits and pain control.

Thora is now staying with my friend Danni, who runs a nonprofit animal rescue called Helping All Little Things and specializes in caring for special needs guinea pigs. Her recovery will be slow and expensive, but we are committed to giving her every chance.

I’m raising funds to help cover Thora’s medical expenses and to support the ongoing care Danni is providing. Every donation goes directly toward Thora’s treatment.

Thank you for supporting her. She deserves every chance we can give her.







Organizer

Emily Ristuccia
Organizer
Arlington, MA
Helping All Little Things
Beneficiary
  • Animals
  • Tax deductible

Your easy, powerful, and trusted home for help

  • Easy

    Donate quickly and easily

  • Powerful

    Send help right to the people and causes you care about

  • Trusted

    Our Trust & Safety team works around the clock to keep our community safe