- P
- M
Hi everyone,
Michelle and I are reaching out with a heavy heart that is beyond just our own. I humbly ask for help for my sweet French Bulldog, Luna. She’s only 3.5 years old, full of love and life, and she’s currently fighting through an incredibly traumatic and painful experience.
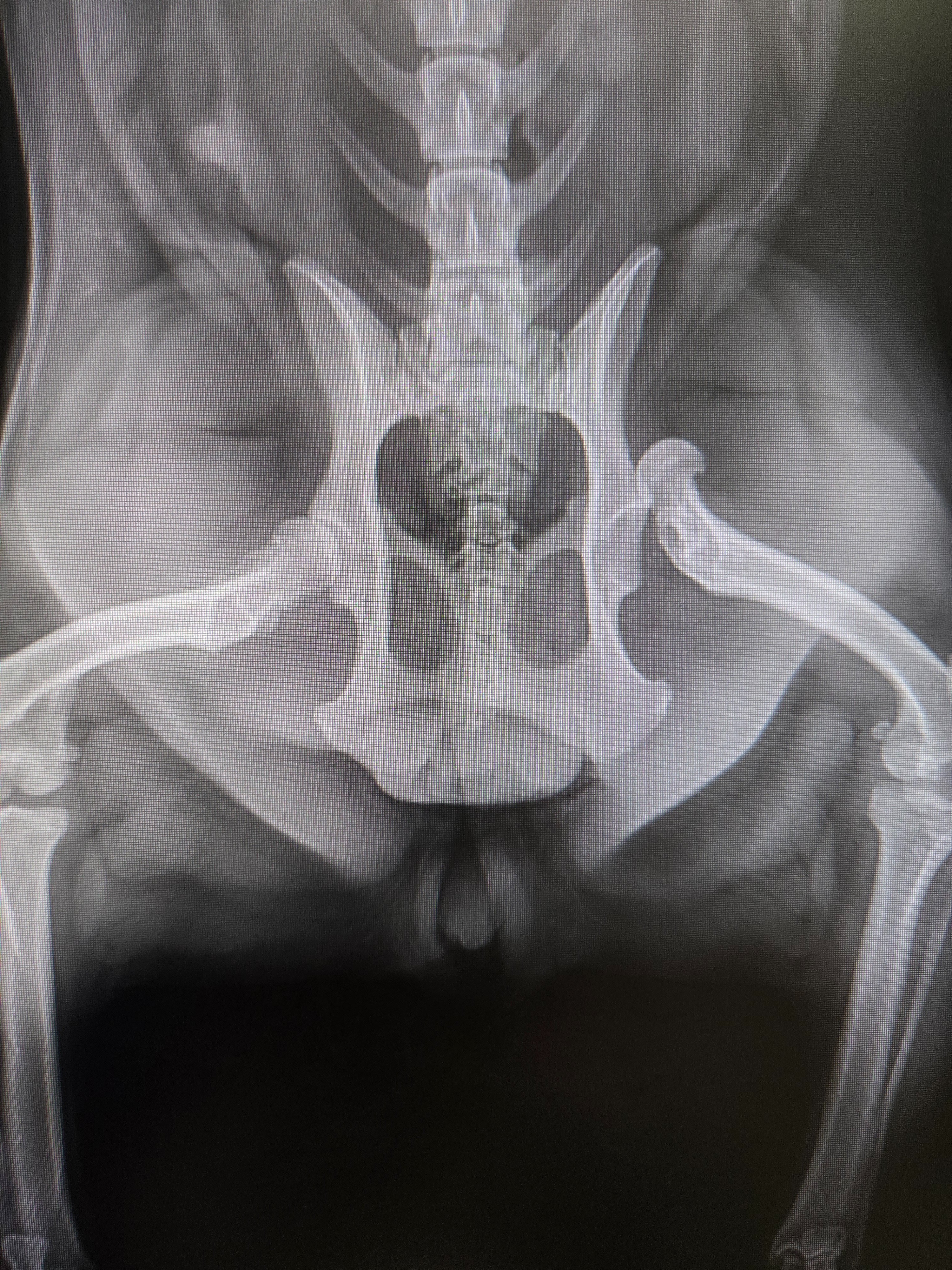
On Saturday, June 7th, Luna was hit by a slow-moving car just outside our house as Michelle and I were prepared to leave. Thankfully, she wasn’t crushed by the wheels, but she was pinned underneath the scorching engine of the low-profile car. She suffered a dislocated left rear hip, multiple burns, scarring across her leg and lips, and a large road rash on her belly. We rushed her to the nearest 24-hour pet emergency clinic, but they were not equipped to handle the complexity of Luna's procedure. At great speed and care, Michelle and I transported Luna to the Central Orange County Emergency Animal Hospital. The amazing doctors tried to reposition her hip and placed her in a SlingWrap to keep it stable.
Unfortunately, her hip did not stay in place, and on Wednesday, June 11th, Luna had to undergo FHO surgery (Femoral Head Ostectomy), where her hip joint was surgically removed.
As if that weren’t enough, Luna has since developed a severe necrotic skin infection on her belly. It has worsened twice and has now spread to her stomach. She’s unable to keep any food down and is at serious risk of sepsis. Dr. Kim and the team at the ER are doing everything they can, keeping her wrapped in wet bandages and aggressively treating the infection to stabilize her.
Luna is so much more than a pet... she’s our heart, our family, and my constant companion. Watching her go through this has been absolutely devastating to us emotionally, mentally, spiritually, and physically. Her ongoing emergency care, surgery, and treatments have already resulted in mounting vet bills, and they continue to grow daily.
We are doing everything in our power to keep Luna alive and give her the chance to heal, but we can’t do it alone. If you're able to donate, even a small amount, it would mean the world. Every dollar will go directly toward Luna’s emergency care, medication, and recovery. If you’re unable to give, please consider sharing her story.
Thank you from the bottom of my heart for your kindness, generosity, and support during this heartbreaking time.
With deep gratitude,
Dean & Michelle






