Help Little Jack the Jack Russell Walk Again
Meet Jack — a brave little stray Jack Russell who’s captured all of our hearts
Jack was found alone and in terrible pain, with no collar, no microchip, and sadly… no family to call his own. When he arrived at Lake Road Veterinary Hospital, our team rushed him straight into emergency care. He was frightened, in agony, and unable to walk — but even through the pain, his little tail tried to wag.
Thanks to your local community vet team, Jack received lifesaving ICU care, pain relief, and emergency stabilisation. He’s now safe, warm, and surrounded by love ❤️
But Jack’s journey is far from over.
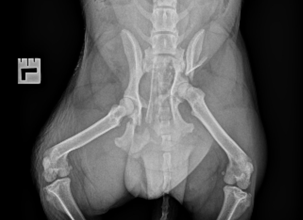
After advanced imaging and specialist assessment, we’ve discovered that Jack has severe pelvic and spinal injuries. Without major surgery, he’ll never regain the ability to walk comfortably or live a pain-free life.
This surgery is his only chance to run, play, and live the joyful life every little dog deserves ✨
What Jack Needs
• Orthopaedic and spinal surgery to repair multiple fractures
• Ongoing pain management and rehabilitation
• Intensive nursing care and physiotherapy post-op
• A forever home once he’s recovered (we’re already lining up loving families!)
How You Can Help
Jack’s total treatment and recovery are expected to cost over $8,000, and as a stray with no owner to fund his care, he needs our community’s help.
Every single dollar goes directly toward Jack’s surgery, hospital stay, and recovery.
Whether it’s $5 or $500, your kindness will make a world of difference to a little dog who has no one else to fight for him.
Be Part of Jack’s Story
Jack has already shown he’s a fighter — now he just needs a few heroes to help him finish his journey.
Please donate if you can, and share Jack’s story to help us give this beautiful boy the second chance he deserves.
Because every little life matters.
Lake Road Veterinary Hospital, Wagga Wagga NSW
Follow Jack’s recovery journey on our Facebook and Instagram pages — we’ll share every tail wag, every tiny step, and every milestone he reaches thanks to your support.
From all of us at Lake Road Vet — and from Jack — thank you. ❤️
Organizer
Lake Road Vet (Organizer)
Organizer
New South, Wales


