Help Frida keep walking

Story

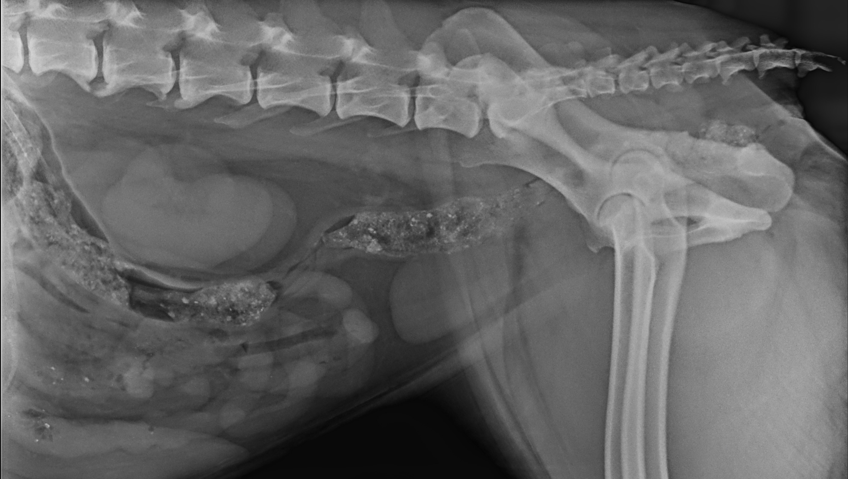
Main fundraiser photo

Help Frida keep walking

Donation protected
Hello, my name is Carlos, and I’m reaching out on behalf of my beloved Labrador, Frida.

She has been by my side for 10 wonderful years, filling my life with love, loyalty, and joy. Frida isn’t just a pet, she is my longest relationship and bestest of friends. Sadly, she was recently diagnosed with spondylosis, a painful condition where bony spurs form along the spine, bridging several disc spaces. This makes every step a challenge, she is starting to drag her hind legs and robs her of the simple pleasures she once loved, like playing fetch (ball is life) or going on long walks. Eventually, she will stop walking altogether.






I was recently fired from my job and can’t afford the upcoming bills. We are already doing physical therapy to strengthen her muscles and help her mobility, but her veterinarian has recommended surgery to relieve the pressure caused by the bony growths, followed by post-surgery care and rehabilitation to give her the best chance at recovery. With the right treatment plan, Frida will keep being a happy dog.


The cost that I’m asking for help with are:

• 3,000€ for spinal surgery and hospitalization
• 1000€ for post-surgery care, including pain management and medications, physical therapy and rehabilitation sessions





All money raised will go directly toward Frida’s treatment and recovery. Your support will not only ease her pain but also give her the chance to walk, play, and enjoy life the way she deserves.

Frida has given me so much happiness. Now, I’m asking for your help to give her comfort in return. Whether you can donate or share her story, your kindness means more than words can say. Thank you!
Donate

Donations3

  • Madeline Brazas
    • €8
    • 1 mo
  • Anonymous
    • €42
    • 1 mo
  • Anonymous
    • €20
    • 1 mo
Become an early supporter

Your donation matters

Donate

Organizer

Carlos Mag
Organizer
Santa Cruz de Tenerife, CN
  • Animals
  • Donation protected

Your easy, powerful, and trusted home for help

  • Easy

    Donate quickly and easily

  • Powerful

    Send help right to the people and causes you care about

  • Trusted

    Your donation is protected by the GoFundMe Giving Guarantee