- J
- M
My name is Nicole, and I’m reaching out for help for my beloved dog, Boogie. He’s the sweetest Rottweiler you could ever meet, and his love for our family—especially for me and my four-year-old son—is beyond words. Boogie has been with us through so much, from my pregnancy to countless moves, always bringing light and comfort with his nurturing spirit. His soul is as deep as the ocean, and I can’t imagine life without him.
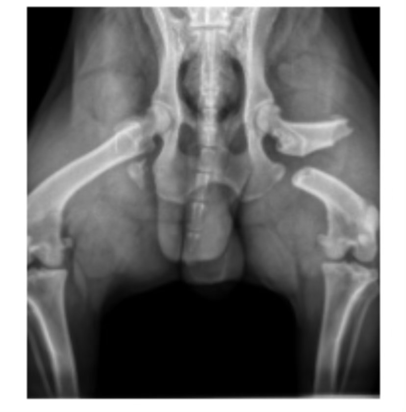
Recently, Boogie was hit by a car and left on the side of the road without us. The accident broke his back femur, and now he needs urgent surgery to recover. Euthanasia is not an option for our family—Boogie loves life too much, and we love him just as fiercely. Right now, I can see how sad he is that he got himself into trouble, and I feel responsible for allowing him to get into this situation. I can feel his soul—he just wants to be himself again. He’s been confined to lying on his side, and even with his medication, he is so uncomfortable. It breaks my heart that money is keeping us from getting the help he needs.
We’re asking for help so Boogie can get the care he needs and continue being the heart of our family. Any support, no matter the amount, means the world to us. Thank you for reading our story and for considering helping Boogie heal and come home.
Recently, Boogie was hit by a car and left on the side of the road without us. The accident broke his back femur, and now he needs urgent surgery to recover. Euthanasia is not an option for our family—Boogie loves life too much, and we love him just as fiercely. Right now, I can see how sad he is that he got himself into trouble, and I feel responsible for allowing him to get into this situation. I can feel his soul—he just wants to be himself again. He’s been confined to lying on his side, and even with his medication, he is so uncomfortable. It breaks my heart that money is keeping us from getting the help he needs.
We’re asking for help so Boogie can get the care he needs and continue being the heart of our family. Any support, no matter the amount, means the world to us. Thank you for reading our story and for considering helping Boogie heal and come home.





