***UPDATED***
A family is now left devastated with the reality of being on ODSP and unable to help their beloved puppy Joe after he was struck by an Amazon delivery driver.
I am reaching out for your assistance on behalf of a close personal friend of my family. He has had a really rough go of it lately. But regardless of his own struggles he still took the time to be there for me when I needed it....
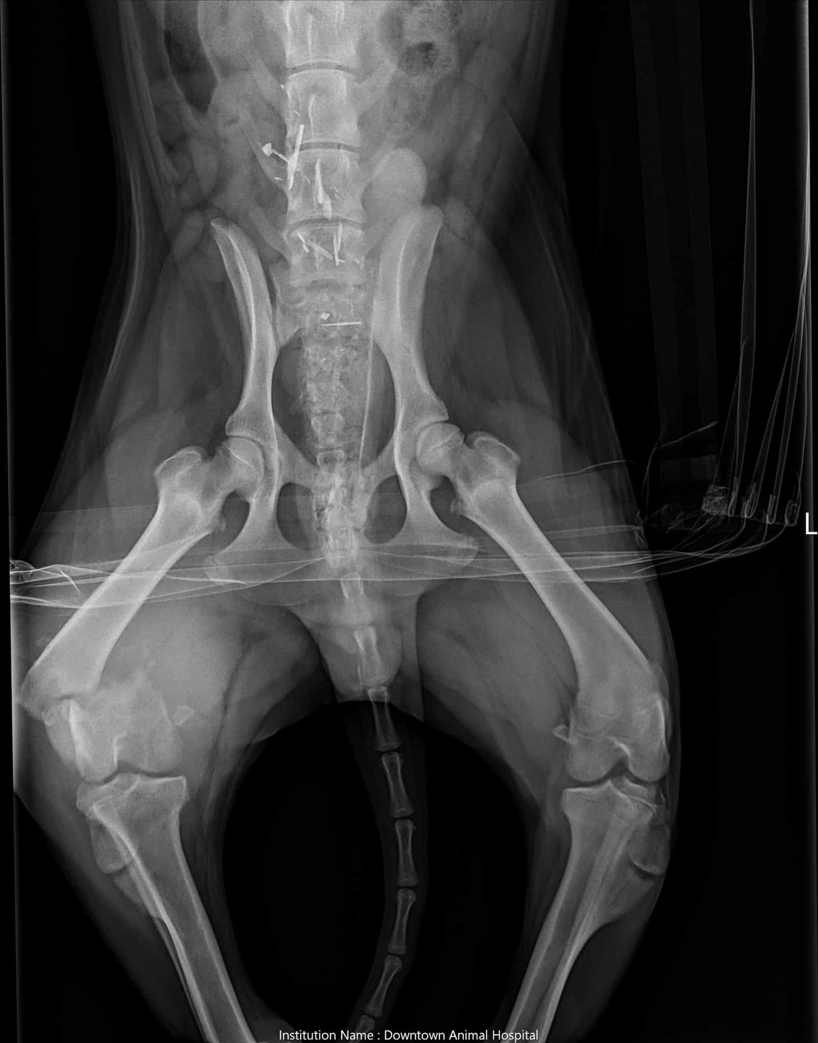
After numerous strokes left his father paralyzed Donald and his partner Missy needed to do major renovations on their home. Which was a huge financial burden that is still effecting them to this day. Their dog Joe is still just a puppy. But is currently in training to play a very important role in their lives. Donalds father has suffered over 2,000 strokes which can come on at any time. Missy, Joe's mom, also has epilepsy. He's not just a pet, he assists them in their daily lives. On Thursday an Amazon delivery driver who was unknown to them struck Joe. Thankfully no internal organs were damaged. Most of the injuries he suffered were to his leg. Joes tendons that are meant to hold his knee together are completely irreparable. The nerve endings have all been severed. His bones are broken and there's no blood flow. So it's basically dying from the knee down and needs to be removed. The estimated cost is approximately up to $7,000 or more, depending on factors that may come into play during the procedure. Amazon has been contacted. But unfortunately there were no other witnesses at the time of the incident. So the family has been left to cover the expenses. If you could please help by sharing this post or by donating anything you're able to. Joe is still young and deserves to walk and live a life without this damage. We really appreciate all the help we can get.
Organizer
Kristen Dean
Organizer
Kingston, ON





