- A
- A
- J
ARK / BWA AID - BRINGING SUPPLIES AND SUPPORT TO THE DEVASTATED ISLANDS OF THE CARIBBEAN FOLLOWING HURRICANES IRMA AND MARIA.
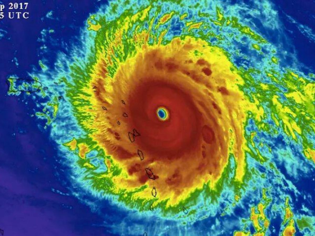
So many of us have enjoyed working and playing in this amazing area of the world, and it has suffered immense and utter devastation at the hands of Hurricanes Irma and Maria, two of the strongest storms ever recorded.
Captain Lucille Frye of BWA St Maarten was the initial driving force behind this relief effort, and the group has grown to include Destiny Gagiano, Louise Clark, Noona Ayres, Francesca Fenucci and Antonella Della Pietra, the BWA Yachting communications team and many more.
STORY UPDATE
A big thank you goes out to the Owner, Captain and Crew of M/Y Suri, a 60m explorer yacht <3 They have generously volunteered to bring over relief aid to the Caribbean and the people affected by this season's strong hurricanes, as part of the ARK BWA AID program that we've set up.
MY Suri

A well packed garage...
Massive thanks to the owner, captain and crew of MY Suri!
Having left Marina One Port Vell they are well on their way with much needed supplies.

Captain Juan Koegelenberg of MY Suri and Lucille Frye from BWA St Martin and of course, our campaign's tireless leader.
We would also like to extend a thank you to M/Y Aquarius, Azteca, Areti, Talitha, Nero, Solis, Symphony, Dinasty, Solaia, Jaguar, Maylin IV, Reverly, and Caroline, who have all supported the ARK BWA AID project!
HOW YOU CAN HELP IF YOU ARE A YACHT CROSSING TO THE CARIBBEAN
BWA is helping coordinate more ARK / BWA AID to come across the Atlantic with volunteering mega yachts returning to the region for the coming winter charter season.
Each interested yacht will become an ARK AID vessel and can help by providing / soliciting donations from their crew, family and neighboring vessels and bringing these across to the Caribbean.
In order to ensure that we only take over just what is needed, we are gathering lists from families and charity organizations and we ask that the yacht brings only what is on that list. The yacht is in charge of filling the list. BWA will ensure that the items go directly to the families and organizations to ensure they get exactly what they need.
PLEASE EMAIL HERE TO BECOME AN ARK AID VESSEL - [email redacted]
YOU CAN ALSO HELP WITH MONETARY CONTRIBUTIONS
ARK / BWA AID monetary fundraising efforts will also continue!
Since we are now moving from the initial rescue phase into assisting with the recovery stage monetary donations are of even more immense importance. We hope to continue to raise significant amounts of funding to help rebuild targeted organizations and those families hardest hit.
The ARK / BWA AID group would like to give a MASSIVE thank you to all the donations given so far! The donations have been truly amazing and have already enabled us to make a difference in a significant way!
THANK YOU!!!
TOGETHER WE ARE ONE – CARIBBEAN STRONG!!!
So many of us have enjoyed working and playing in this amazing area of the world, and it has suffered immense and utter devastation at the hands of Hurricanes Irma and Maria, two of the strongest storms ever recorded.
Captain Lucille Frye of BWA St Maarten was the initial driving force behind this relief effort, and the group has grown to include Destiny Gagiano, Louise Clark, Noona Ayres, Francesca Fenucci and Antonella Della Pietra, the BWA Yachting communications team and many more.
STORY UPDATE
A big thank you goes out to the Owner, Captain and Crew of M/Y Suri, a 60m explorer yacht <3 They have generously volunteered to bring over relief aid to the Caribbean and the people affected by this season's strong hurricanes, as part of the ARK BWA AID program that we've set up.
MY Suri
A well packed garage...
Massive thanks to the owner, captain and crew of MY Suri!Having left Marina One Port Vell they are well on their way with much needed supplies.

Captain Juan Koegelenberg of MY Suri and Lucille Frye from BWA St Martin and of course, our campaign's tireless leader.
We would also like to extend a thank you to M/Y Aquarius, Azteca, Areti, Talitha, Nero, Solis, Symphony, Dinasty, Solaia, Jaguar, Maylin IV, Reverly, and Caroline, who have all supported the ARK BWA AID project!
HOW YOU CAN HELP IF YOU ARE A YACHT CROSSING TO THE CARIBBEAN
BWA is helping coordinate more ARK / BWA AID to come across the Atlantic with volunteering mega yachts returning to the region for the coming winter charter season.
Each interested yacht will become an ARK AID vessel and can help by providing / soliciting donations from their crew, family and neighboring vessels and bringing these across to the Caribbean.
In order to ensure that we only take over just what is needed, we are gathering lists from families and charity organizations and we ask that the yacht brings only what is on that list. The yacht is in charge of filling the list. BWA will ensure that the items go directly to the families and organizations to ensure they get exactly what they need.
PLEASE EMAIL HERE TO BECOME AN ARK AID VESSEL - [email redacted]
YOU CAN ALSO HELP WITH MONETARY CONTRIBUTIONS
ARK / BWA AID monetary fundraising efforts will also continue!
Since we are now moving from the initial rescue phase into assisting with the recovery stage monetary donations are of even more immense importance. We hope to continue to raise significant amounts of funding to help rebuild targeted organizations and those families hardest hit.
The ARK / BWA AID group would like to give a MASSIVE thank you to all the donations given so far! The donations have been truly amazing and have already enabled us to make a difference in a significant way!
THANK YOU!!!
TOGETHER WE ARE ONE – CARIBBEAN STRONG!!!
Organizer and beneficiary
Lucille Frye
Beneficiary

