Please help Freya have the life she has never known

  • P
  • K
128 donors
0% complete

£4,756 raised of £8K

Please help Freya have the life she has never known

Donation protected
Hello I'm Sharon. Just six short weeks ago, I rescued Freya from a life of neglect and welcomed her into my life. Freya is a six year old, beautiful Samoyed girl from Bulgaria, who has known nothing but producing puppies. She is the sweetest, gentle little girl
but unfortunately her first few weeks with me has mostly been spent visiting my vets.
She has had major surgery to remove two nipples and some mammary tumours
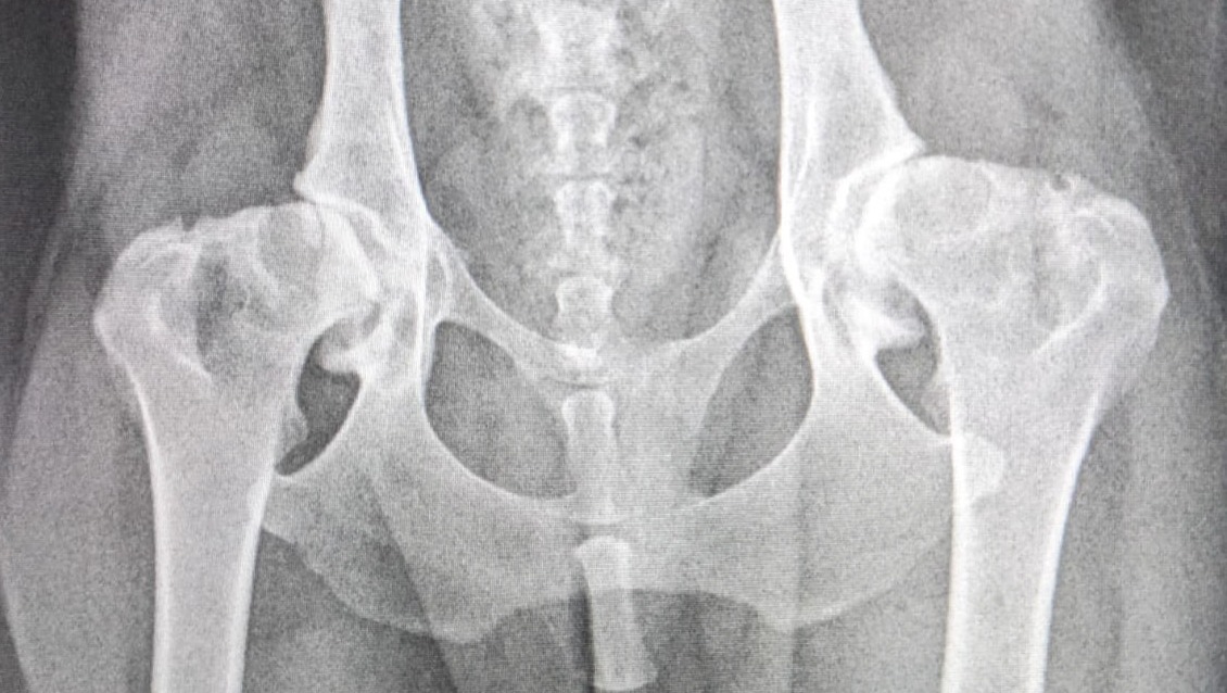
We've just had the results back, from the biopsies, and thankfully they show no signs of cancer, but as you can see from the photo
her hips are horrendous, really bad hip dysplasia, huge arthritic changes and remodeling. I can't begin to imagine how much pain she has been in for most, if not all, of her life.
I adore her and have promised her that I will do as much as I possibly can to give her the life she deserves.
I retired in January, I have cashed in, the only, very small private pension I had to do just that but that has already nearly gone, I've already spent nearly £3,000 on the help and treatment she so desperately needed but she still needs much more help to get her as pain free as is possible, so she can know that life can be filled with fun and happiness, she has a bucket list of things to do.
I had no idea when I adopted her that she would have these serious health problems, I was told by the Bulgarian Rescue that she had been fully health checked, how these issues had not been noticed is beyond me, I was aware of them within minutes of getting her home! I am determined to make sure the rest of her life is the wonderful, happy one she deserves.
For Freya, I am swallowing my pride and asking for a little help so that I can achieve it for her. Surgery is not really an option now (it would have a few years ago had anybody actually cared about her) so she is going to be having the best combination of pain relief she can get, Hydrotherapy, Physiotherapy, Massage, Laser treatment and anything else I can get for her.
Thank you for taking time to read Freya's story of her first few weeks of the next chapter of her life.


Organizer

Sharon Jackson
Organizer
England
  • Animals
  • Donation protected

Your easy, powerful, and trusted home for help

  • Easy

    Donate quickly and easily

  • Powerful

    Send help right to the people and causes you care about

  • Trusted

    Your donation is protected by the GoFundMe Giving Guarantee