Hi, we're The Good Shepherd Rescue and we are urgently requesting funds for Raven and her dad.
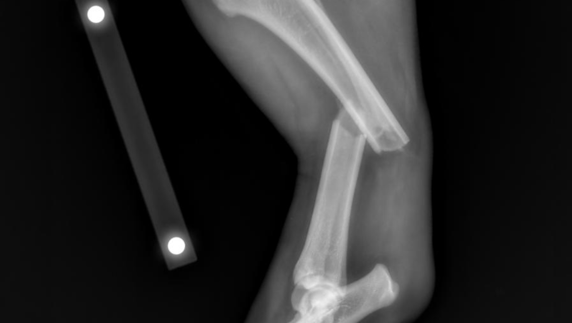
This sweet girl, Raven, survived parvo as a young puppy and now, just 3 years later, she is suffering again. Raven was struck by a vehicle after she escaped out of her yard. Raven was staying with family while her dad was at work. That is when she briefly escaped and got hit. She had to undergo immediate surgery in order to save her leg. Her dad is dedicated to helping her heal but is struggling financially.
What we need: we ask for any donation amount you are able to give at this time. Any amount will help with the $4,000 vet bills. Due to the emergency situation, the fees were higher than anticipated.
Bill Breakdown: Shortly after Raven's dad adopted her, she received a Parvo diagnosis. He reached out to the person whom he adopted Raven from to inform them and he was immediately blocked. He already cared deeply about Raven so he footed the $5,000 Parvo vet bill to save her. (Parvo mortality rate in puppies is 90% or higher if they do not receive treatment within first 72 hours. Parvo treatment can cost anywhere from $2,000-10,000 in California.)
After Raven was struck by the vehicle, her family rushed her to the emergency vet. The first emergency exam on 1/15/26 (and first round of pain medicine) cost $477. The follow up and additional medication on 1/16/26 cost $680.
When Raven's dad explained that could not afford the $4,000 surgery to fix her leg, the vet recommended amputation or euthanasia as the only moral option due to her injuries and pain level.
Raven's dad then reached out to The Good Shepherd Rescue for help. We at The Good Shepherd Rescue did not believe euthanasia or amputation was an acceptable option for Raven. Her father explained to us that he was willing to do whatever it took to get Raven her surgery. We vowed to assist him in the fundraising process.
Raven Update: Raven is currently in good spirits healing with her dad. She has responded well to all the meds and we hope she will be up and running around again soon.
We are currently searching for rehab centers in the El Monte area so Raven can properly heal. Her full recovery is estimated in about 12 weeks. In order for Raven to fully recover, she will need monitored activity and assistance with her rehab. Due to the type of fracture and location, it is crucial Raven starts and continues rehab throughout the next 3-9 weeks.
For any extra info or updates, please feel free to reach out to The Good Shepherd Rescue via email or follow us on instagram for current updates (@thegoodshepherdrescue).
We appreciate all the love, prayers, and support.
Organizer and beneficiary
Hebber Garcia
Beneficiary




