Surgery for Tulip

  • H
  • M
102 donors
0% complete

$3,040 raised of $2.5K

Surgery for Tulip

Hello, my name is Holley and I am starting a fundraiser for Tulip, she is a 4 year old long-haired dachshund with the most loving personality.

On January 12th, 2023 a EF2+ tornado was recorded in Alabama. This tornado took many homes and communities. Not only did it take houses, but lives as well. Tulips owner was tragically one of the victims to this catastrophic event. Ms. Sue was in her mobile home in Kingston Alabama when the tornado came by and destroyed her house and the neighbors homes as well. A search party was formed to find Ms. Sue, but unfortunately she was discovered to have passed away. Nearly 20 feet away from her was little Tulip. She was found around the debris of the home. She was covered in dirt, insulation, and wood from the tornado.

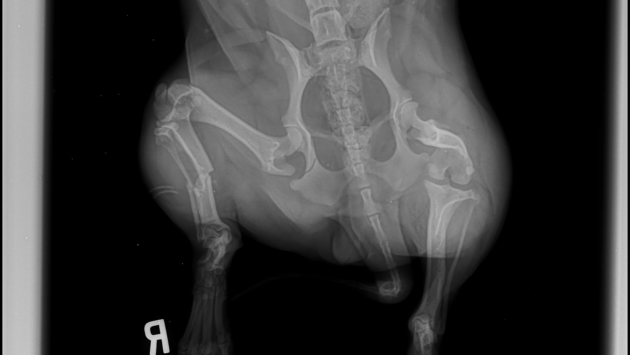
The dogs name is unknown, but we had to give her a name so we decided on Tulip temporarily. Tulip was taken to the veterinarian and we discovered she has a broken back leg and a small fracture in her hip. She will need surgery with external fixators to repair the leg. Her bloodwork is normal, she was checked for intestinal parasites and heart worms which were both negative. She does have some bruising on her leg and her back from debris falling on her but otherwise she is in good spirits.

I am fostering her until we can find her a home and paying out of pocket to repair her leg, but the surgery is higher than what I can afford. The surgery is estimated at $1750-2000 and $500 from her initial visit today.

She currently has a splint on her leg and is on pain medication until she can be seen by the surgeon on January 19th.

Please any donations are very much appreciated. You can donate through here, my cash app is $HolleyHWindham, Venmo is HolleyWindham. If you would like to make donations through the veterinary clinic, please call Cobbs Ford Pet Health Center [phone redacted], Her account is under Tulip Windham. Thank you so much for taking the time to read this and for all donations made. I will keep this post updated when I have more news.







 GoFundMe Giving Guarantee

This fundraiser mentions donating through another platform, but please know that only donations made on GoFundMe are protected by the GoFundMe Giving Guarantee.

Organizer

Holley Windham
Organizer
Prattville, AL
  • Animals
  • Donation protected

Your easy, powerful, and trusted home for help

  • Easy

    Donate quickly and easily

  • Powerful

    Send help right to the people and causes you care about

  • Trusted

    Your donation is protected by the GoFundMe Giving Guarantee