- R
- J
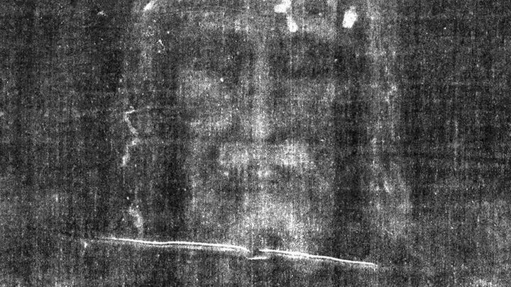
This is a fundraising appeal to support the recovery of a quarter million dollars that belonged to a religious non-profit promoting interest in and research on the Shroud of Turin. Set up with great ambition and national goals in 2006, the non-profit promoted knowledge of and research on the Shroud, which is a relic of Christ’s crucifixion. Its image has confounded scientists since the first photographs were taken in 1898, but has deeply moved many people with its powerful evidence of the terrible torture Jesus endured.
These funds should by law be distributed to other American Shroud organizations. But they were secretly and wrongfully removed from the non-profit’s bank account by family members of its former president who had resigned a year before with the initial signs of senile dementia.
Unfortunately, the non-profit had undergone a series of damaging events, including the death of its Clerk/Secretary, the unfortunate hiring of an accountant who proved to be incompetent, the refusal of the Treasurer to act as such, and finally the mental decline in its President.
Despite the best efforts of the Board members to right the ship, it was decided that the non-profit should dissolve and propose a disbursement of its assets to be approved by the court. This is required by law in the state where it is domiciled, and by its own Articles of Incorporation; specifically prohibited is the distribution of any of its funds to Board members, family members or other private individuals.
When it was discovered that all the non-profit’s funds had been removed and its bank account closed, using the former president’s signature, a lawyer was hired by the non-profit with borrowed funds. He then sent a formal letter to the former president and his family members stating:
“[your action] is an unauthorized and illegal withdrawal of all the non-profit’s funds totaling approximately $263,953 … in April or May 2023 … and transferred to your [the former President’s] personal bank account where they were apparently comingled with your own personal funds…. The state [where domiciled] has clear and unambiguous requirements for the disposition of charitable assets upon the dissolution of a nonprofit organization. Withdrawing the funds was a clear violation of these principles and statutory requirements. Moreover, it is a violation of your fiduciary duties of loyalty, care, and charitable purpose.”
However, national and state law enforcement agencies have deemed the case to be a civil matter. Therefore funds need to be raised to bring a civil action against the family members who took the money and now control it.
The recovered quarter million dollars by law should be distributed to other non-profits with similar goals, i.e. to promote interest and research on the Shroud. The recovery of this huge amount will be an enormous benefit for some Shroud organizations in the U.S.
The estimated cost of bringing the case is $30,000. Two generous donors have contributed $10,000 and $5000 already, so we are halfway there and are launching this appeal to the public. It is aimed especially to those who understand the great significance of the Shroud as a relic of the Crucifixion with its powerful image of the wounds Jesus suffered.
Sponsor:
William Meacham is an archaeologist and well-known, internationally published Shroud researcher. He is now Acting President of the non-profit concerned. All money raised will be used for the sole purpose of pursuing the legal case to recover the non-profit’s funds.

