Das ist Mogli, ein lebensfroher kleiner amerikan Akita, der eigentlich die Welt erkunden, rennen, toben und das Leben genießen möchte.
Der Süße wurde als Welpe verschenkt an eine Familie mit 4 Kindern. Dort war er schnell zu viel Arbeit und er wurde nach ein paar Tagen weitergegeben. An ein Mädchen, das ihn am nächsten Tag aussetzte bzw. eine Privatabgabe im Tierheim machte.
Als wir davon erfahren haben, haben wir sofort alle Hebel in Bewegung gesetzt, dass der Welpe zu uns kam.
Er kam zu unserem Mitarbeiter Chris, der sich so sehr in den lieben Hundebub verliebte, dass er ihn NIE WIEDER hergeben wird ❤️
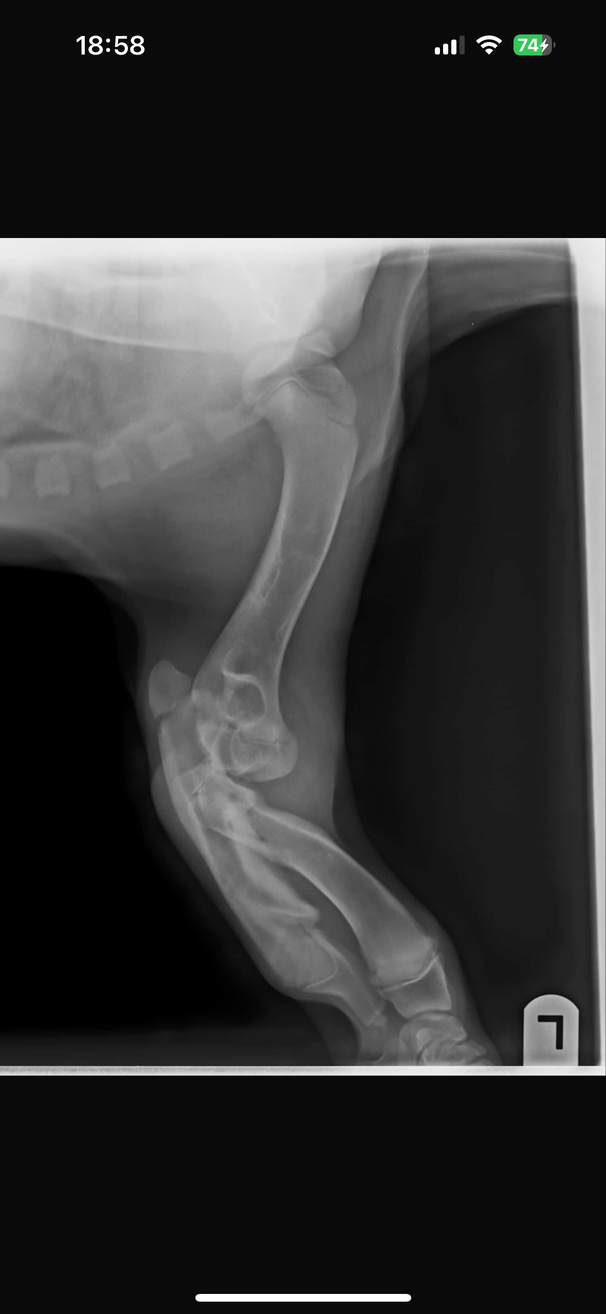
ABER leider wurde Mogli mit einer schweren Fehlbildung an beiden Vorderbeinen geboren. Jeder Schritt bedeutet für ihn Schmerz und ohne eine Operation wird Mogli niemals richtig laufen können.
Die gute Nachricht: Es gibt Hoffnung! ❤️
Mit einer speziellen Operation besteht die Chance, dass Mogli endlich ein schmerzfreies, glückliches Leben führen.
Wenn er nicht operiert wird, dann steht eine Euthanasie an, da in naher Zukunft die Knochen das Gewicht nicht mehr halten können werden…
Die Operation wird vom Spezialisten Dr. Tack durchgeführt.
Doch diese Chance hat ihren Preis:
5.000 € pro Bein, insgesamt 10.000 €, die über sein Schicksal entscheiden.
Und 1.300 € kostete das CT, damit eine seriöse Diagnose gestellt werden konnte.
Wir werden Mogli nicht im Stich lassen!!! Am 20.11 ist die OP, daher bitten wir dich von Herzen:
❤️Bitte hilf Mogli, leben und laufen zu können!
Jeder Euro zählt! wirklich jeder!
Ob 5 €, 10 € oder mehr, jede Spende bringt Mogli einen Schritt näher zu einem Leben ohne Schmerzen.






